Set di strumenti chirurgici disposti su un tavolo coperto da tela blu, con mani guantate visibili in background.

Chirurgia ortopedica
del cane
e del gatto

Mi occupo di interventi ortopedici mirati a ripristinare la funzionalità e il benessere degli animali, combinando tecniche chirurgiche aggiornate a una gestione perioperatoria personalizzata.

  • Osteosintesi di fratture con placca e impianti di ultima generazione

  • Trattamento di lussazioni a cielo chiuso/aperto

  • Osteotomia di livellamento del piatto tibiale (TPLO) per il trattamento di lesioni parziali o totali del leg. crociato craniale

  • Ricostruzioni teno-legamentose

  • Lussazione rotulea

  • Trattamento di osteocondrosi (OCD) di spalla e ginocchio

  • Artrodesi

  • Fissazione esterna

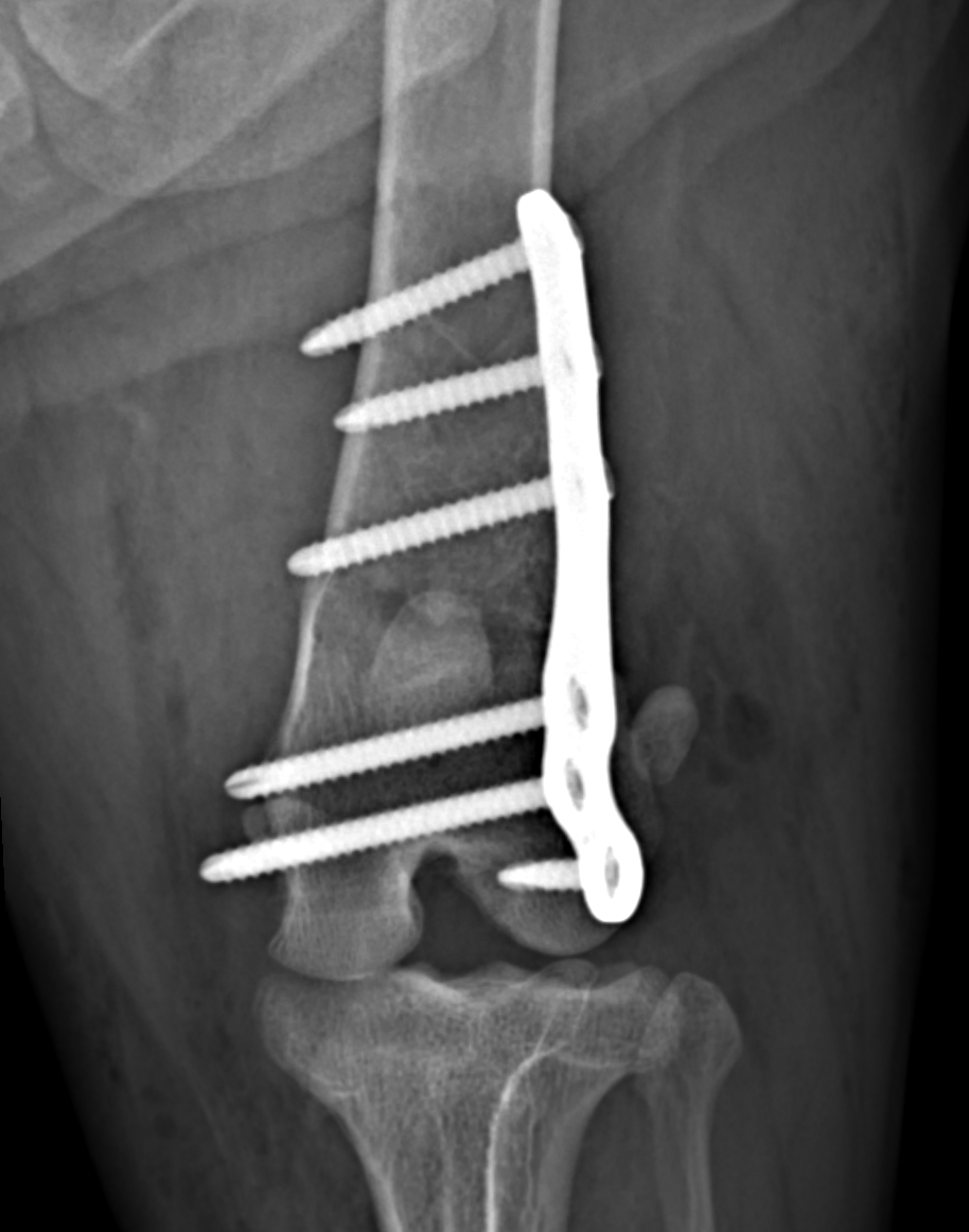
Radiografia del femore fratturato di un cane, trattata con una placca in titanio e acciaio con un'ottima riduzione e un ottimo risultato postoperatorio

Chirurgia ortopedica e traumatologica

Garantisco cure all’avanguardia per i miei pazienti a quattro zampe: utilizzo impianti di ultima generazione per ottenere risultati ottimali, ridurre il disagio post-operatorio e favorire un recupero funzionale completo. Ogni intervento è pianificato con rigore diagnostico, impiego di materiali biocompatibili e tecniche chirurgiche avanzate, tenendo sempre al centro il benessere dell’animale.

Zampa di un cane, appoggiata gentilmente in una mano umana con guanto blu, in un ambiente veterinario.

Visite ortopediche

La visita ortopedica è fondamentale per diagnosticare precocemente patologie scheletriche e articolari che possono compromettere il movimento e la qualità di vita dell’animale. Permette di pianificare terapie mirate, conservative o chirurgiche, riducendo il dolore e la progressione della malattia. Controlli periodici aiutano a monitorare l’efficacia del trattamento e a prevenire ricadute o complicanze.

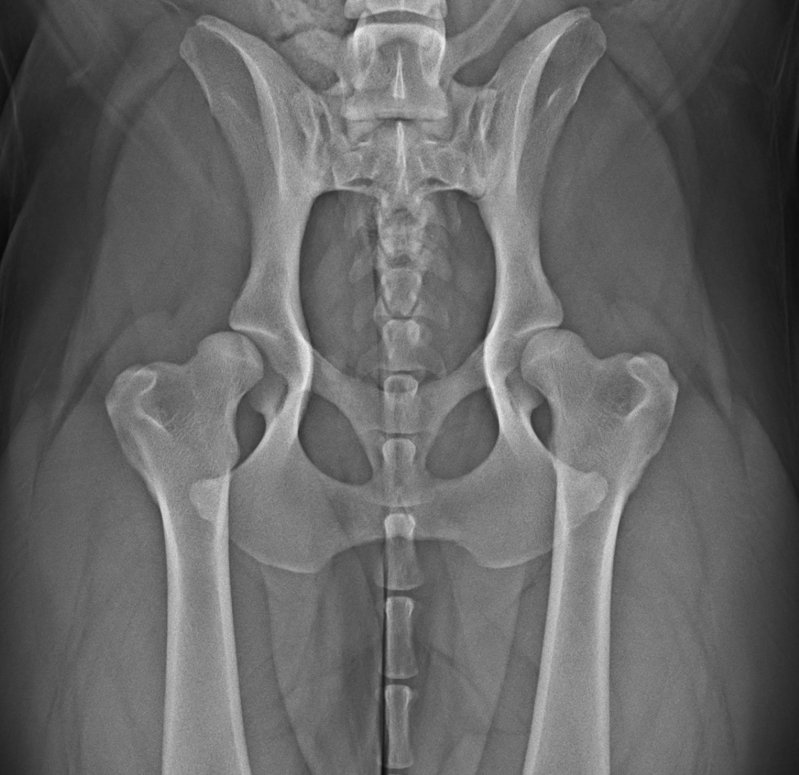
Radiografia di un bacino di un cane con displasia d'anca.

Studi radiografici per ricerca displasie
anche/gomiti (HD/ED)

Eseguo studi radiografici per valutare la presenza di displasia dell’anca e del gomito nel cane, seguendo protocolli di posizionamento per la certificazione Celemasche.
Nel corso dell’esame viene valutata la congruità articolare, eventuali segni di artrosi e caratteristiche anatomiche rilevanti, con misurazioni per la trascrizione ufficiale nel pedigree.

Veterinario con occhiali e camice blu che abbraccia un cane da compagnia su un tavolo.

Di qualsiasi cosa si tratti, la affronterò con scienza, coscienza e professionalità.
Farò del mio meglio per curarlo, tenendo sempre al centro
il benessere dell'animale.